At the Vinyard Institute of Plastic Surgery (VIPS) in Port Saint Lucie, FL, we are passionate about acquiring the latest in cutting-edge technology to take your care and results to new heights. We are proud to offer access to the world-class VISIA Skin Analysis System, which provides unparalleled insights into your complexion concerns and helps us select the optimal treatments for your needs.
What Are the Benefits of VISIA Skin Analysis?
- Establishes a personalized baseline to track treatment progress
 - Reveals both surface-level and subsurface skin concerns
 - Enhances treatment planning with precise skin condition mapping
 - Supports realistic expectations before skincare or surgical procedures
 - Analyzes bacteria levels within the pores to guide acne treatment
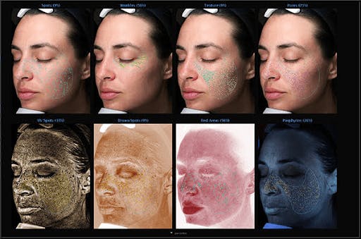
 - Visualizes spider veins, inflammation, and hyperpigmentation with clarity
 - Quantifies fine lines, wrinkles, texture, UV damage, and brown spots
 - Evaluates redness, pore size, and overall skin tone balance
 - Provides high-resolution facial feature analysis
 - Enables detailed side-by-side comparisons over time
 







